Banner

Siêu bão Ragasa còn mạnh hơn cả Yagi

  • 22/09/2025
  • 60
Siêu bão Ragasa được dự báo còn mạnh hơn cả siêu bão Yagi năm 2024. Dù chưa vào Biển Đông nhưng đêm qua, Ragasa đã gây mưa rất lớn ở nhiều nơi trên cả nước.

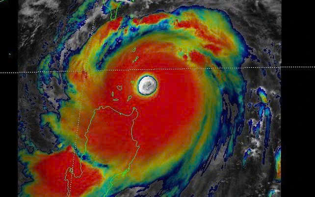
Trung tâm Dự báo khí tượng thủy văn quốc gia cho biết: Siêu bão Ragasa lúc 7 giờ sáng (22.9) được Cơ quan Khí tượng Nhật Bản (JMA) phân loại là bão cực mạnh - violent typhoon. Đây là cấp phân loại cao nhất đối với xoáy thuận nhiệt đới ở khu vực tây bắc Thái Bình Dương với cường độ gió lên tới 205 km/giờ. Cơn bão Ragasa còn mạnh hơn so với Yagi năm 2024.

Ragasa mạnh hơn cả siêu bão Yagi năm 2024

NGUỒN: NCHMF

Do ảnh hưởng của siêu bão Ragasa, đêm qua và sáng nay (22.9), ở khu vực vùng núi và đồng bằng Bắc bộ, cao nguyên Trung bộ và miền Đông Nam bộ có mưa to đến rất to như: Tân Tiến (Lào Cai) 161,2 mm, Xuân Minh (Tuyên Quang) 157,8 mm, Mường Báng (Điện Biên) 111,6 mm, Trà Giang (Thái Bình) 108 mm, Nậm Giôn (Sơn La) 105,2 mm, Thanh An (TP.HCM) 97,4 mm…

Dự báo, ngày và đêm 22.9, khu vực Bắc bộ, Thanh Hóa, Trung bộ và Nam bộ có mưa, mưa vừa và rải rác có giông với lượng mưa từ 20 - 40 mm, cục bộ có nơi mưa to đến rất to trên 100 mm. Cần đề phòng nguy cơ mưa có cường suất lớn trên 100 mm trong 3 giờ.

Chiều và tối 22.9, khu vực duyên hải nam Trung bộ có mưa rào và rải rác có giông, lượng mưa 15 - 30 mm, cục bộ có nơi mưa to trên 80 mm.

Trong 6 giờ tới, có nguy cơ xảy ra lũ quét, sạt lở đất, sụt lún đất trên sườn dốc, suối nhỏ tại các tỉnh Lai Châu, Điện Biên, Sơn La, Lào Cai, Tuyên Quang.

Ông Lê Đình Quyết, Trưởng phòng Dự báo, Đài Khí tượng thủy văn Nam bộ cho biết thêm: Bão Ragasa nằm trong nhóm siêu bão mạnh nhất từng xuất hiện trên Biển Đông. Dự báo tối nay (22.9) bão sẽ đi vào Biển Đông, trở thành cơn bão số 9 trong năm, di chuyển nhanh khoảng 20 km/giờ và duy trì cường độ cực đại cấp 16 - 17, giật trên cấp 17 trong ngày 22 - 23.9. Đến sáng 25.9, bão có khả năng tiến vào vịnh Bắc Bộ với cường độ cấp 12 - 14, giật cấp 15 - 16 và dự báo ảnh hưởng trực tiếp đất liền nước ta từ Quảng Ninh đến Hà Tĩnh.

Các trung tâm dự báo quốc tế và Việt Nam đều nhận định, Ragasa có hoàn lưu rất rộng, quỹ đạo và cường độ còn phức tạp do tương tác với khối không khí lạnh đầu mùa, chỉ cần bão lệch 50 - 100 km sẽ gây khác biệt lớn về phạm vi và mức độ tác động. Dự báo từ ngày 23.9, khu vực bắc Biển Đông có gió mạnh cấp 10 - 14, vùng gần tâm bão cấp 15 - 17, giật trên cấp 17, sóng cao trên 10 m, biển động dữ dội. Từ ngày 24 - 26.9, vịnh Bắc bộ và ven biển Bắc bộ - bắc Trung bộ khả năng có gió mạnh cấp 9 - 12, vùng gần tâm bão cấp 12 - 14, giật cấp 15 - 16, kèm mưa lớn diện rộng.

Nguồn: Thanh niên

TRUYỀN HÌNH TVO

TELEVISION VIETNAM ONLINE

Hotline: 08 19005958

Email: truyenhinhvietnam.vn@gmail.com